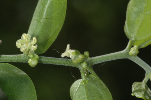
spiny hackberry

Celtis pallida

Taxonomy

Kingdom: Plantae β€ΊPhylum: Tracheophyta β€ΊClass: Magnoliopsida β€ΊOrder: Rosales β€ΊFamily: Cannabaceae β€ΊGenus: Celtis

About

Celtis ehrenbergiana, called the desert hackberry or spiny hackberry, is a plant species that has long been called C. pallida by many authors, including in the "Flora of North America" database. It is native to Arizona, Florida, New Mexico and Texas, and to Latin America as far south as northern Argentina. It grows in dry locations such as deserts, brushlands, canyons, mesas and grasslands.

Frequently Asked Questions

What is the scientific name of spiny hackberry?
The scientific name of spiny hackberry is Celtis pallida.
What kingdom does spiny hackberry belong to?
spiny hackberry belongs to the kingdom Plantae.
What phylum does spiny hackberry belong to?
spiny hackberry belongs to the phylum Tracheophyta.
What class does spiny hackberry belong to?
spiny hackberry belongs to the class Magnoliopsida.
What order does spiny hackberry belong to?
spiny hackberry belongs to the order Rosales.
What family does spiny hackberry belong to?
spiny hackberry belongs to the family Cannabaceae.
What genus does spiny hackberry belong to?
spiny hackberry belongs to the genus Celtis.