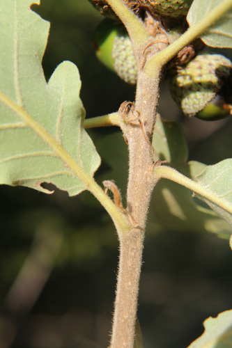
Persian oak

Quercus macranthera

Taxonomy

Kingdom: Plantae Phylum: Tracheophyta Class: Magnoliopsida Order: Fagales Family: Fagaceae Genus: Quercus

About

Quercus macranthera, commonly called the Caucasian oak, or the Persian oak, is a species of deciduous tree native to Western Asia (northern Iran, Turkey; and in the Caucasus in Georgia, Armenia, and Azerbaijan) that is occasionally grown as an ornamental tree in Europe growing to 30 meters tall.

Frequently Asked Questions

What is the scientific name of Persian oak?
The scientific name of Persian oak is Quercus macranthera.
What kingdom does Persian oak belong to?
Persian oak belongs to the kingdom Plantae.
What phylum does Persian oak belong to?
Persian oak belongs to the phylum Tracheophyta.
What class does Persian oak belong to?
Persian oak belongs to the class Magnoliopsida.
What order does Persian oak belong to?
Persian oak belongs to the order Fagales.
What family does Persian oak belong to?
Persian oak belongs to the family Fagaceae.
What genus does Persian oak belong to?
Persian oak belongs to the genus Quercus.