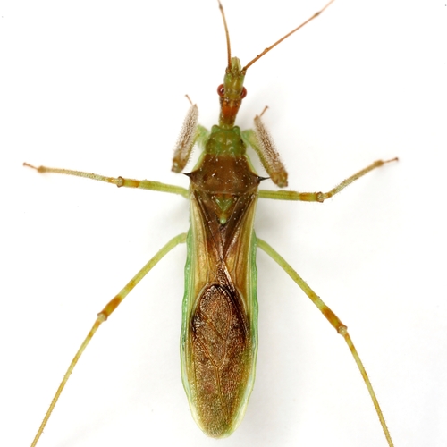
Pale Green Assassin Bug

Zelus luridus

Taxonomy

Kingdom: Animalia β€ΊPhylum: Arthropoda β€ΊClass: Insecta β€ΊOrder: Hemiptera β€ΊFamily: Reduviidae β€ΊGenus: Zelus

About

Zelus luridus, also known as the Pale Green Assassin Bug, is a species of assassin bug native to North America. It is the most common Zelus species in the eastern United States. The size ranges from twelve and a half to eighteen millimeters long. On average, adult females are sixteen millimeters long, while males are fourteen millimeters long. Though the base color is pale green, markings on the back can range from dark brown or red...

Frequently Asked Questions

What is the scientific name of Pale Green Assassin Bug?
The scientific name of Pale Green Assassin Bug is Zelus luridus.
What kingdom does Pale Green Assassin Bug belong to?
Pale Green Assassin Bug belongs to the kingdom Animalia.
What phylum does Pale Green Assassin Bug belong to?
Pale Green Assassin Bug belongs to the phylum Arthropoda.
What class does Pale Green Assassin Bug belong to?
Pale Green Assassin Bug belongs to the class Insecta.
What order does Pale Green Assassin Bug belong to?
Pale Green Assassin Bug belongs to the order Hemiptera.
What family does Pale Green Assassin Bug belong to?
Pale Green Assassin Bug belongs to the family Reduviidae.
What genus does Pale Green Assassin Bug belong to?
Pale Green Assassin Bug belongs to the genus Zelus.