Oak Rough Bulletgall Wasp

Disholcaspis quercusmamma

Taxonomy

Kingdom: Animalia β€ΊPhylum: Arthropoda β€ΊClass: Insecta β€ΊOrder: Hymenoptera β€ΊFamily: Cynipidae β€ΊGenus: Disholcaspis

About

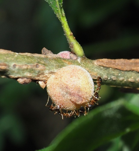
Disholcaspis quercusmamma, the oak rough bulletgall wasp, is a species of gall wasp in the family Cynipidae. The quercus in its name is the genus name for oak, while "mamma" is Latin for "breast", presumably a reference to the "nipple" on the gall.

Frequently Asked Questions

What is the scientific name of Oak Rough Bulletgall Wasp?
The scientific name of Oak Rough Bulletgall Wasp is Disholcaspis quercusmamma.
What kingdom does Oak Rough Bulletgall Wasp belong to?
Oak Rough Bulletgall Wasp belongs to the kingdom Animalia.
What phylum does Oak Rough Bulletgall Wasp belong to?
Oak Rough Bulletgall Wasp belongs to the phylum Arthropoda.
What class does Oak Rough Bulletgall Wasp belong to?
Oak Rough Bulletgall Wasp belongs to the class Insecta.
What order does Oak Rough Bulletgall Wasp belong to?
Oak Rough Bulletgall Wasp belongs to the order Hymenoptera.
What family does Oak Rough Bulletgall Wasp belong to?
Oak Rough Bulletgall Wasp belongs to the family Cynipidae.
What genus does Oak Rough Bulletgall Wasp belong to?
Oak Rough Bulletgall Wasp belongs to the genus Disholcaspis.