Knout Goby

Mesogobius batrachocephalus

Taxonomy

Kingdom: Animalia Phylum: Chordata Class: Actinopterygii Order: Gobiiformes Family: Gobiidae Genus: Mesogobius

About

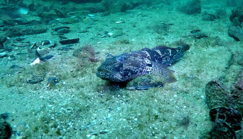
Mesogobius batrachocephalus, the knout goby or toad goby, is one of the species of gobiid fish native to the Black Sea and the Sea of Azov basins. It lives in estuaries and brackish water lagoons, occasionally in fresh waters also. It prefers areas near cliffs with sandy, shelly or rocky substrates at depths of from 20 to 60 metres (66 to 197 ft), sometimes down to 100 metres (330 ft). The knout goby is a piscivore. It can...

Frequently Asked Questions

What is the scientific name of Knout Goby?
The scientific name of Knout Goby is Mesogobius batrachocephalus.
What kingdom does Knout Goby belong to?
Knout Goby belongs to the kingdom Animalia.
What phylum does Knout Goby belong to?
Knout Goby belongs to the phylum Chordata.
What class does Knout Goby belong to?
Knout Goby belongs to the class Actinopterygii.
What order does Knout Goby belong to?
Knout Goby belongs to the order Gobiiformes.
What family does Knout Goby belong to?
Knout Goby belongs to the family Gobiidae.
What genus does Knout Goby belong to?
Knout Goby belongs to the genus Mesogobius.