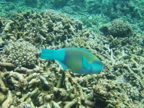
Indian Bullethead Parrotfish

Chlorurus sordidus

Taxonomy

Kingdom: Animalia ›Phylum: Chordata ›Class: Actinopterygii ›Order: Labriformes ›Family: Labridae ›Genus: Chlorurus

About

Chlorurus sordidus, known commonly as the daisy parrotfish or bullethead parrotfish, is a species of marine fish in the family Scaridae.

Frequently Asked Questions

What is the scientific name of Indian Bullethead Parrotfish?
The scientific name of Indian Bullethead Parrotfish is Chlorurus sordidus.
What is the conservation status of Indian Bullethead Parrotfish?
The Indian Bullethead Parrotfish has a conservation status of Least Concern.
What kingdom does Indian Bullethead Parrotfish belong to?
Indian Bullethead Parrotfish belongs to the kingdom Animalia.
What phylum does Indian Bullethead Parrotfish belong to?
Indian Bullethead Parrotfish belongs to the phylum Chordata.
What class does Indian Bullethead Parrotfish belong to?
Indian Bullethead Parrotfish belongs to the class Actinopterygii.
What order does Indian Bullethead Parrotfish belong to?
Indian Bullethead Parrotfish belongs to the order Labriformes.
What family does Indian Bullethead Parrotfish belong to?
Indian Bullethead Parrotfish belongs to the family Labridae.
What genus does Indian Bullethead Parrotfish belong to?
Indian Bullethead Parrotfish belongs to the genus Chlorurus.