Crown Rust

Puccinia coronata

Taxonomy

Kingdom: Fungi Phylum: Basidiomycota Class: Pucciniomycetes Order: Pucciniales Family: Pucciniaceae Genus: Puccinia

About

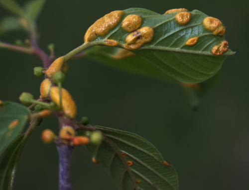
Puccinia coronata is a plant pathogen and causal agent of oat and barley crown rust. The pathogen occurs worldwide, infecting both wild and cultivated oats. Crown rust poses a threat to barley production, because the first infections in barley occur early in the season from local inoculum. Crown rusts have evolved many different physiological races within different species in response to host resistance. Each pathogenic race can attack a specific line of plants within the species...

Frequently Asked Questions

What is the scientific name of Crown Rust?
The scientific name of Crown Rust is Puccinia coronata.
What kingdom does Crown Rust belong to?
Crown Rust belongs to the kingdom Fungi.
What phylum does Crown Rust belong to?
Crown Rust belongs to the phylum Basidiomycota.
What class does Crown Rust belong to?
Crown Rust belongs to the class Pucciniomycetes.
What order does Crown Rust belong to?
Crown Rust belongs to the order Pucciniales.
What family does Crown Rust belong to?
Crown Rust belongs to the family Pucciniaceae.
What genus does Crown Rust belong to?
Crown Rust belongs to the genus Puccinia.