Common Green Darner

Anax junius

Taxonomy

Kingdom: Animalia β€ΊPhylum: Arthropoda β€ΊClass: Insecta β€ΊOrder: Odonata β€ΊFamily: Aeshnidae β€ΊGenus: Anax

About

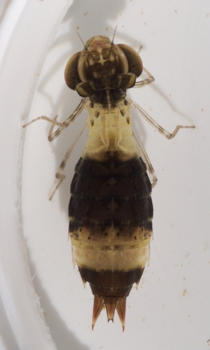
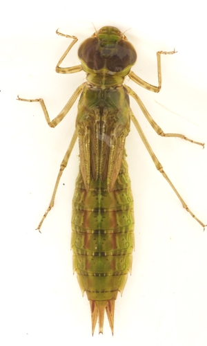
The green darner or common green darner (Anax junius), after its resemblance to a darning-needle, is a species of dragonfly in the family Aeshnidae. One of the most common and abundant species throughout North America, it also ranges south to Panama. It is well known for its great migration distance from the northern United States south into Texas and Mexico. It also occurs in the Caribbean, Tahiti, and Asia from Japan to mainland China. It is...

Frequently Asked Questions

What is the scientific name of Common Green Darner?
The scientific name of Common Green Darner is Anax junius.
What kingdom does Common Green Darner belong to?
Common Green Darner belongs to the kingdom Animalia.
What phylum does Common Green Darner belong to?
Common Green Darner belongs to the phylum Arthropoda.
What class does Common Green Darner belong to?
Common Green Darner belongs to the class Insecta.
What order does Common Green Darner belong to?
Common Green Darner belongs to the order Odonata.
What family does Common Green Darner belong to?
Common Green Darner belongs to the family Aeshnidae.
What genus does Common Green Darner belong to?
Common Green Darner belongs to the genus Anax.